LYNNWOOD — The Home Depot is looking to set root in Lynnwood.
City officials are working on an agreement allowing for construction of a Home Depot store and a 500-unit apartment complex on a portion of the former Lynnwood High School campus.
Todd Hall, Lynnwood’s planning manager, said the agreement with Wakefield Properties would cover development of both projects. It should be completed in three to six months and requires City Council approval, he said. After that each one can proceed on its own schedule.
The projects are proposed on acreage near Costco along 184th Street SW north of Alderwood mall. They represent the second and final phase of Lynnwood Place. Costco was constructed in the initial phase.
The Home Depot wants to erect a 108,000 square-foot building with a 28,000-square-foot garden center. However, it won’t look exactly like every other warehouse built by the national retail giant.
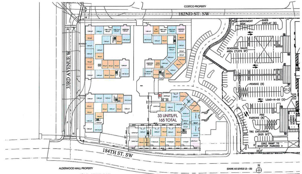
This one will have two stories with the second floor designated solely for parking, according to materials submitted to the city and the Edmonds School District, which owns the property. The lot will be uncovered and accessed by a ramp running along one side of the structure.
For the residential component, Wakefield Properties is proposing to build 500 market-rate apartments, from studios to three bedrooms.
Drawings show five-story buildings with underground parking. Plans turned in to the city Dec. 18 also show 10,000 square feet of office space and 12,000 square feet of retail within the property.
Wakefield and the district have been in discussions on this portion of the former campus for more than a year.
In November 2017, the school board approved a lease agreement which calls for the company to pay the district $1.3 million a year once the site is developed. During construction, the company will pay the school district $708,000 a year.
Revenue generated from the property will go into the capital projects fund to be used for renovation and maintenance of district facilities, said Stewart Mhyre, the executive director of business and operations.
“It cannot be used for staff salaries,” he said.
The property has been designated for commercial and residential development for some time. Wakefield had been searching for a firm before and after inking the lease.
On Oct. 9, representatives of the company and Home Depot made presentations to the school board. At that point, the city wasn’t aware the corporate giant had zeroed in on Lynnwood, Hall said.
“We’ve been waiting to get somebody on this site for quite some time,” Hall said. “Home Depot was honestly a surprise. They basically showed up one day and said they were in talks with the district.”
There are 45 Home Depot stores in Washington, according to the company website. These include warehouses in Bothell, Shoreline, south Everett, Snohomish and Tulalip.
Meanwhile, the Edmonds School District is hoping to complete the sale of its former bus barn property in the next couple of months.
In the fall of 2017, the school board approved selling the 9.17-acre site to Wolff Enterprises for $10.5 million. The company is looking to build 240 apartments on the property at 2927 Alderwood Mall Blvd., adjacent to both Alderwood mall and I-5.
“We believe the transaction will be done in January or February,” Mhyre said.
The school district opened a new bus barn and maintenance site in August on 52nd Avenue W in Lynnwood. The $30.3 million project was paid for with the district’s 2014 bond.
Jerry Cornfield: 360-352-8623; jcornfield@herald net.com. Twitter: @dospueblos.
Talk to us
- You can tell us about news and ask us about our journalism by emailing newstips@heraldnet.com or by calling 425-339-3428.
- If you have an opinion you wish to share for publication, send a letter to the editor to letters@heraldnet.com or by regular mail to The Daily Herald, Letters, P.O. Box 930, Everett, WA 98206.
- More contact information is here.

